La publicité contribue à maintenir TV-PROGRAMME.COM gratuit.

Vidéo Programme TV ce soir

Programme TV de ce soir en Vidéo
La publicité contribue à maintenir TV-PROGRAMME.COM gratuit.

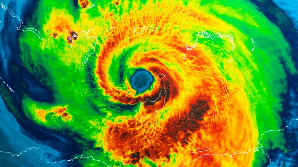
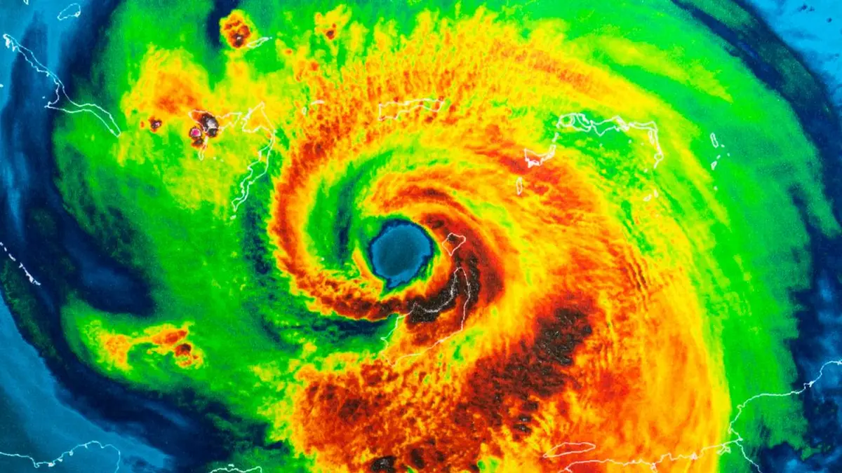
Où regarder Météo de RMC Découverte

TV : Diffusions à venir

Aucune diffusion prévue pour le moment.